Jump to content

Recommended Posts

Posted
6 hours ago, immortal13 said:

Finally got my wife's first duck from 2019/20 season back from the taxidermist. I thought it turned out pretty good, and she was happy with it so that's all that matters.

 

20210312_192920.jpg

Amazing.... What a gorgeous specimen.  Brilliant color pattern. 

  • Hook 'Em 1
Posted (edited)
2 hours ago, Reagan1k said:

Amazing.... What a gorgeous specimen.  Brilliant color pattern. 

Gracias. He was a fine specimen and my wife was especially wanting a wood duck drake that morning.. The pose was my idea.. He was supposed to be preening, so his wing should've been a little higher and bill down into the wing feathers a bit. But they got pretty close and he looked good so I didn't complain 

 

Edited by immortal13
  • Hook 'Em 1
Posted (edited)

One of my boys killed a Brewer’s duck very late in the same season and he’s still waiting on that.  I can’t wait to see it.  
 

He’s grown and has a wall full of great mounts but this one will be the most interesting to me in his home. 

Edited by Reagan1k
  • Hook 'Em 1
Posted

cross posting from gun thread:

Going to get my soon to be 8 yr old a shotgun for his birthday.  I'd rather get him a 20 ga just thinking long term but he's a little guy and is really really wanting a .410 so we'll probably go with that (and I do think a .410 can be a fun gun to hold on to).  He's also really wanting a side by side and I see that there's a .410 side by side Yildiz at Academy.  Any thoughts on this brand?  The reviews seem pretty good but there aren't a ton of them out there.  Any thoughts on / experience with Yildiz?

Posted
Side by side? Like a coach gun? Or did you mean an over/under?

A double barrel side by side. Yildez actually has a cool little .410 over under that id rather get him but he’s really wanting a side by side and that’s cool with me. Certainly not as many of those floating around and a bit of a novelty when over unders are everywhere I’m my experience.
Posted

I haven't read back so apologies if this was covered, but @Spaulding Smails did your place get fucked up in the ice storm? We got absolutely destroyed. Our camp oak stand that gave us shade in the summer is basically 10 sticks. No cover left. Driving around the ranch and I just did triage tbh. Cleared roads and dragged shit that was easy. I am at 36 hours of work amd it isnt even close. Several 200 yr old oaks are essentially total losses. It is depressing but what the hell can you do. Get a glass of whiskey and drown your pain I guess. Brutal.

  • Rage+1 1
Posted

Well house is a total loss as well. Looks like a bomb went off in there. It was drained but not drained enough I guess. Impeller housing cracked and every pipe destroyed. It must have dropped low enough to just blow up old pvc with no water in it. Crazy stuff. Thank God for the 5k gallon tank or we would be tanking in water. Well head seems intact and functional. Look to the bright side! I am going to head out and try to pop some piggies tonight just to ease the pain.i must break you dolph lundgren GIF

  • Rage+1 1
Posted

Y’all know how to bring the mood to a crashing halt.

Sucks man, we had a couple of friends worried and got lucky that their hunting shacks survived somehow out in west Texas and a couple that had near total loss damage.

I guess that’s the only upside I have on not having a structure built on our land... heading back out this next weekend to shoot some hogs.

Posted
11 hours ago, Gale Snoats said:

cross posting from gun thread:

Going to get my soon to be 8 yr old a shotgun for his birthday.  I'd rather get him a 20 ga just thinking long term but he's a little guy and is really really wanting a .410 so we'll probably go with that (and I do think a .410 can be a fun gun to hold on to).  He's also really wanting a side by side and I see that there's a .410 side by side Yildiz at Academy.  Any thoughts on this brand?  The reviews seem pretty good but there aren't a ton of them out there.  Any thoughts on / experience with Yildiz?

I've got nice guns, shit guns, and everything in between.  Seriously, my 12 ga. Yildiz over under may be my favorite.  Affordable, reliable, fairly attractive. 

Posted
18 hours ago, HOOKEM4 said:

I haven't read back so apologies if this was covered, but @Spaulding Smails did your place get fucked up in the ice storm? We got absolutely destroyed. Our camp oak stand that gave us shade in the summer is basically 10 sticks. No cover left. Driving around the ranch and I just did triage tbh. Cleared roads and dragged shit that was easy. I am at 36 hours of work amd it isnt even close. Several 200 yr old oaks are essentially total losses. It is depressing but what the hell can you do. Get a glass of whiskey and drown your pain I guess. Brutal.

Jeez dude.  That's awful.  What a shame.

Believe it or not, the majority of our damage was from the New Years Eve ice storm.  We lost some major branches on the big Live Oak grove in front of the cabin.  Had a big Bastard Oak fall on the well house.  Tons of damage around the ranch.  We have enough firewood to last decades.

My pops stayed up there during the February freeze.  They lost power here and there, but had it on for the most part surprisingly.  We keep a generator up there, and my dad had it on standby to run a heat lamp in the well house when the power went out to keep the pump from freezing up.  No significant damage for us, thankfully.

  • Hook 'Em 1
Posted

@HOOKEM4 does that camera do cellular?   About to invest in an entire system, and have always been impressed with the quality of browning pics.  I assume since they are so clear that is not a cellular?  Preparing myself to spend some decent $$, but want to get it right.  YouTube comparisons are exhausting, what say the surl? 

Posted

Not cellular.  We don't have service on most of the ranch. It would be a waste. Those are the $100 specials I got during black Friday a few years ago. They are solid.

Posted
Not cellular.  We don't have service on most of the ranch. It would be a waste. Those are the $100 specials I got during black Friday a few years ago. They are solid.

No glo or low glow?

I’m always looking for sub-$100 no glo cams that put out hood night time pics
Posted
[mention=1712]HOOKEM4[/mention] does that camera do cellular?   About to invest in an entire system, and have always been impressed with the quality of browning pics.  I assume since they are so clear that is not a cellular?  Preparing myself to spend some decent $$, but want to get it right.  YouTube comparisons are exhausting, what say the surl? 
You're pretty much going to get a lower quality pics from cellular transmitted to you than right off the card.
I have the Cuddeback system and it give me good enough quality pics for what I need. I mostly am trying to pattern the deer on plots and feeders. I'm on a small property so I don't have the same bucks around year after year that I'm trying to figure out which one is who. However, it could probably do the trick for that too. Here's some pics that were from this past season that I got through text.

e465ccbb298219df82b7a26bf011bf03.jpgd9eb722993666cd446208305e810240f.jpgb559ca1afabaaadb7a94f2469daeb1a9.jpg368bd21814060665fffbf4d3ae93b562.jpge4f287a3e9ab40c63549d2a452154f08.jpgfd4c65fc4f126870351cb3ee08ce1368.jpg
  • Hook 'Em 1
  • Like 1
Posted
1 minute ago, Both Tacos said:

You're pretty much going to get a lower quality pics from cellular transmitted to you than right off the card.
I have the Cuddeback system and it give me good enough quality pics for what I need. I mostly am trying to pattern the deer on plots and feeders. I'm on a small property so I don't have the same bucks around year after year that I'm trying to figure out which one is who. However, it could probably do the trick for that too. Here's some pics that were from this past season that I got through text. 5a664dacd12d4affb54290f329d61de0.jpg6a3d91ba9a196c6bf2148e0911a12d88.jpg1ca82bff177c8f2d4bd9c81e8688ee61.jpg7a88b36cafdd5194b80c13daab22aab3.jpg6866dd6b1ea51897521216cfa6964efe.jpg8e9aab1765a259f6a778821e95caaa83.jpg

Do you use the whole cudde system that all mesh to one camera?  Right now it’s between that and getting 2 separate Spartans. 

Posted
Do you use the whole cudde system that all mesh to one camera?  Right now it’s between that and getting 2 separate Spartans. 
Yes, I have 2 remote and 1 home cameras that are all under one plan. They all link together and you can go up to 24 cameras.
  • Like 1
Posted

A well a everybody's heard about the bird
Bird, bird, bird, b-bird's the word
A well a bird, bird, bird, b-bird's the word
A well a bird, bird, bird, b-bird's the word
A well a bird, bird, b-bird's the word

 

Turkey.JPG

  • Hook 'Em 2
  • Like 2
Posted
20 hours ago, Speedtrucker said:


No glo or low glow?

I’m always looking for sub-$100 no glo cams that put out hood night time pics

I have no idea. I can look at the model next time I am up. I bought 5 of them and they seem to work well. One died after a tree fell on it in the February ice storm. Other than that, they work well.

Posted

I do feel like we are glossing over a fairly large issue...we have a homicidal raccoon on our property. We have evidence that would convict any of us.  Nobody is safe. That fucker could come after your kids next... 

Posted
27 minutes ago, HOOKEM4 said:

I do feel like we are glossing over a fairly large issue...we have a homicidal raccoon on our property. We have evidence that would convict any of us.  Nobody is safe. That fucker could come after your kids next... 

we don’t know the whole story. May have been justified...

Posted
14 hours ago, HOOKEM4 said:

I do feel like we are glossing over a fairly large issue...we have a homicidal raccoon on our property. We have evidence that would convict any of us.  Nobody is safe. That fucker could come after your kids next... 

Ours are all fat turds

 

Raccoons.JPG

Posted
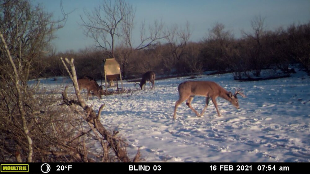
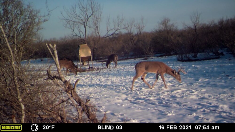
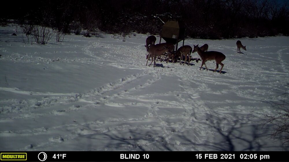
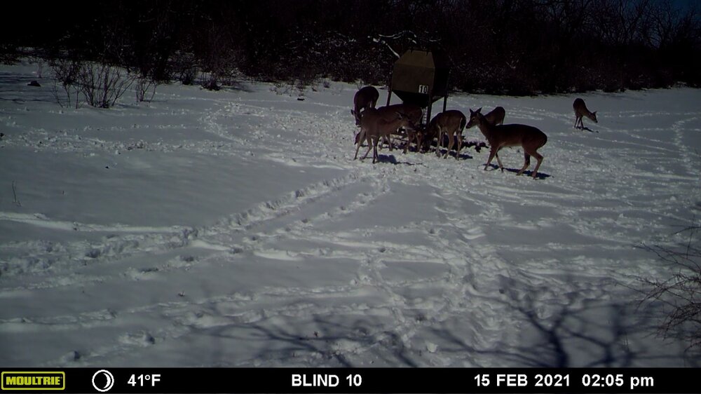
2 hours ago, deadshank said:

Snow game cam pics from a few weeks back. 

C529E508-5044-42BC-A738-64B62863C76D.jpeg

19EE94F8-04D8-490E-9D08-59EDB599C968.jpeg

D906B20D-5C2A-4668-9A79-3CB842A2BF6E.jpeg

305A722D-56C6-4E46-9853-17E362FEB3D8.jpeg

1549F39D-DC4C-4AF5-A23F-8C13D0C2DFA4.jpeg

5F04CFFB-12F0-4340-B3B2-A9186570F4D1.jpeg

3AAC9112-C20A-4C3F-972A-BE6046465445.jpeg

373BA8D5-AC35-4A1D-A25C-FF462C57368A.jpeg

64EAEA31-5028-4FAA-A7A3-0601BEF0DBC8.jpeg

13C9C0BF-8448-4952-AA10-B2CA8D846BA3.jpeg

9BD3DEC5-792E-4B37-A75D-92D4FB1EA111.jpeg

3rd pic from the bottom?  Those are javelinas, right?  Weird seeing peccary's and pigs at the same feeder.  Where is this located at?  Cool pics!

Posted
27 minutes ago, BabaYaga said:

3rd pic from the bottom?  Those are javelinas, right?  Weird seeing peccary's and pigs at the same feeder.  Where is this located at?  Cool pics!

Yes, they are javelinas.  The javs come in with the deer and then errbody hauls ass when the pigs show up.  Lately the pigs have been mostly nocturnal.  

Our place is along the Frio in southeast Uvalde county.

Posted
1 minute ago, deadshank said:

Yes, they are javelinas.  The javs come in with the deer and then errbody hauls ass when the pigs show up.  Lately the pigs have been mostly nocturnal.  

Our place is along the Frio in southeast Uvalde county.

I was going to ask, how far south is your place.  Jav's are cool.  They stink like a goats ass, but when they get pissed start clacking their teeth together.  

Posted

Haven't been to the ranch in 6+ weeks.  Headed back Easter weekend for turkey hunting, shed hunting and maybe dropping an axis doe.  I also need to cut up about a metric ton of firewood to replace what we burned back home during the snowpocalypse.  

  • Hook 'Em 1
Posted
39 minutes ago, Spaulding Smails said:

Haven't been to the ranch in 6+ weeks.  Headed back Easter weekend for turkey hunting, shed hunting and maybe dropping an axis doe.  I also need to cut up about a metric ton of firewood to replace what we burned back home during the snowpocalypse.  

I cut a shart ton this year and let it sit.  Giant piles of mesquite seasoning all over the ranch.  I'm a convert to the genius of the battery powered chainsaw.  Quiet.  Less vibrations.  More torque.  No need for ear pro.  I was a spun up hammer looking for a nail each trip.  I drive past a downed tree and stare out longingly......

Posted
3 hours ago, Spaulding Smails said:

Haven't been to the ranch in 6+ weeks.  Headed back Easter weekend for turkey hunting, shed hunting and maybe dropping an axis doe.  I also need to cut up about a metric ton of firewood to replace what we burned back home during the snowpocalypse.  

I'm planning on making it this weekend for same.  cantwait.gif

  • Hook 'Em 1
Posted

Some of our guys went out this weekend and repaired busted pipes and worked on shoring up some fence issues we had around a protein feeder.

The hog in the upper right corner was not amused with their handy-work.  Seems they closed off his personal entry point.1866271562_Letmein.thumb.jpg.09952d7a9cab5ba3b7f5b9b61481c0a1.jpg 

 

 

  • Haha 1
Posted (edited)
16 hours ago, BabaYaga said:

I cut a shart ton this year and let it sit.  Giant piles of mesquite seasoning all over the ranch.  I'm a convert to the genius of the battery powered chainsaw.  Quiet.  Less vibrations.  More torque.  No need for ear pro.  I was a spun up hammer looking for a nail each trip.  I drive past a downed tree and stare out longingly......

I went battery powered and this hoss is one of the best things I ever bought. The battery will last 4-6 hours.

https://www.rcpw.com/equipment/electric-chainsaws/CS1804.html?gclid=CjwKCAjwgOGCBhAlEiwA7FUXknC9oWbWvxm8SeI5RhEGxGIxSQczemkbVirA1axIHmoxScXM4uIomxoC7_sQAvD_BwE

CHIEF

Edited by CHIEF
Amazon Account Info
  • Hook 'Em 1
Posted (edited)
26 minutes ago, CHIEF said:

I went battery powered and this hoss is one of the best things I ever bought. The battery will last 4-6 hours.

https://www.amazon.com/gp/product/B07YLXDK5K/ref=ppx_yo_dt_b_search_asin_title?ie=UTF8&psc=1

CHIEF

My man!  I have exact saw, except mine is the 16in version.  It's a monster!

One of my favorite features is the auto shut off.  No idling.  Take your hand off the trigger, and it instantly shuts off, avoiding any unnecessary accidents due to a still spinning blade (guilty....).

Edited by BabaYaga
  • Hook 'Em 2
Posted
On 3/22/2021 at 11:47 AM, BabaYaga said:

My man!  I have exact saw, except mine is the 16in version.  It's a monster!

One of my favorite features is the auto shut off.  No idling.  Take your hand off the trigger, and it instantly shuts off, avoiding any unnecessary accidents due to a still spinning blade (guilty....).

Well shit, I just bought one.  I love my Stihl, but this is awesome.

  • Hook 'Em 1
Posted
1 hour ago, Johnny Sack said:

Well shit, I just bought one.  I love my Stihl, but this is awesome.

This was/is as transformative as shooting with a can for the first time - "what have I been thinking all this time"

  • Hook 'Em 2
Posted
8 hours ago, T’Boo Ted Marshall said:

The first Franklin County Chamber of Commerce hog tournament has begun!
8 teams so we may actually have a chance at winning.

About 10 mins ago I had a sounder of about 15 40#   Couldn’t get the damn gun out the window fast enough. Will be a pile of corn there tomorrow eve.

Posted
11 hours ago, Sam Lin said:

Is this a Vic Mackey thing?

Yes. You put out piles of Limon Hot Cheetos and eyebrow pencils and they come running. Also be sure to practice your Chola calls. 
 

 

  • Haha 2
Posted (edited)

Swapped out a mini-split compressor in camp trailer that controlled 3 wall units and finished install of 2 compressors with 2 wall units.  Will do the 3rd compressor wall unit tomorrow.   
 

The old multi-unit compressor was not great and started breaking down. 

E9A3BCA6-C1B8-4B87-9493-3992AD03A2EB.jpeg

805874F7-2C3D-478C-9816-B305BD0D5D68.jpeg

9B23070B-9CDE-4F6C-A68C-A9F49558C125.jpeg

56A2B953-F35E-406B-839C-B86230496AB1.jpeg

0B0E3734-C3AE-4E44-9042-D0453E91528B.jpeg

Edited by deadshank
  • Hook 'Em 3
  • Like 2

Join the conversation

You can post now and register later. If you have an account, sign in now to post with your account.

Guest
Reply to this topic...

×   Pasted as rich text.   Paste as plain text instead

  Only 75 emoji are allowed.

×   Your link has been automatically embedded.   Display as a link instead

×   Your previous content has been restored.   Clear editor

×   You cannot paste images directly. Upload or insert images from URL.



×
×
  • Create New...