Jump to content

Recommended Posts

  • 2 weeks later...
Posted (edited)
1 hour ago, Updawg said:

That David y guy is great. So that’s fine with me

yeah, i think Yeomans has the chops to be a national weather guy some day if he wants to go that route. Young, photogenic, affable, knows his stuff.

Edited by yoladu
Posted

74671917.jpg

j/k Yeomans is pretty good actually.  Although that picture above is creepy. He still is a little awkward at night, needs to not try to cram so much into the spot.  But he's not bad - at first I thought he was a little too packaged but seems to have relaxed. 

It's gonna rain next week (Mon-Wed).  More next week.

Posted
16 hours ago, atomheartbevo said:

Hey @phdorn

Jim Spencer semi-retiring at end of February, probably only coming back when a major storm comes through.

https://www.kxan.com/weather/kxan-announces-jim-spencers-semi-retirement-david-yeomans-as-next-weather-chief-in-march/

 

At the top of that link / retrospective of Spencer's career, very interesting look back at the Jarrell tornado (6:30-ish)

Posted (edited)
On 1/15/2021 at 7:25 AM, Wally Pryor said:

David's internship got off to a somewhat uncomfortable start. 

 

david-yeomans-jim-internship.jpg

 

Whenever I see this photo, I think of Jim Spencer yelling in Johnny Jacobs' voice, "And David's getting larger!"  

And from the looks of our current forecast, it's going to start raining here in Austin in about 2 hours and it's not going to stop until Friday morning.  

Edited by Lobo
Posted

Back for "next week" (from above post).

5-6 days of muck, clouds, humid, soup, etc.  Chances of tiny bits of rain every day through the weekend.  None of which is a game-changer.  More like "are the streets wet" kind of spotty stuff.  There's a low sitting out off S. Cali coast, stalled.  Sending weak disturbances NE into Texas.  Most of 'em are small and weak.  Everyone will probably get at least 1-2 good showers by the weekend, but nothing is going to pile up.  Just soupy and like under an armpit after a workout kind of weather.

Today a cold front through, will drop temps noticably after lunch, chilly day tomorrow maybe low 50's max.  But then another warmup and next 4-5 days mid-60's-70's up to even almost 80° by Sun.

  • Hook 'Em 2
  • Like 1
Posted

Haven't looked lately but so far it's kind of been expected then unexpected.  The dry December was right up Niña's alley.  The wet start and now this in January is kinda the exception.

My no-research guess is that this is a mild Niña, as expected, so far.

Otherwise, best chance of rain the next 24 or so is next few hours, as this front comes through.  If you're gonna get a dousing, it'll be next few hours.  If not, not.

  • 1 month later...
  • 3 weeks later...
Posted (edited)

https://cowboystatedaily.com/2021/03/15/californian-driving-mini-cooper-causes-four-hour-delay-numerous-wrecks-on-i-80/

Californian Driving Mini Cooper (in a 3-foot deep snow storm) Causes Four-Hour Delay (to plows) & Numerous Wrecks On I-80 (WY)

Spoiler

A Californian driving a Mini Cooper through Sunday’s blizzard caused some major problems in Laramie area when he ventured out on Interstate 80.

A Wyoming State Trooper called Wyoming air personality Glenn Woods’ radio program Monday morning to discuss the impact of the Californian who mistakenly went out on the Interstate to see if the roads were fit for a Mini Cooper.

They weren’t, of course, and the Californian got stuck on the Interstate.

At least two snowplow drivers who were trying to avoid the Mini Cooper got in an accident which halted cleanup activity in the area.

Subsequently all of the snowplows were then stuck on I-80 until the wreckage could be moved from the road which severely impacted all cleanup efforts for miles.

“Because of this one individual, our entire fleet of plow trucks were landlocked,” the trooper said. “This cost thousands of dollars to the truckers and really hampered snow removal efforts.”

But it didn’t stop there. Because this portion of the Interstate was closed, drivers tried to divert away from the closure by going through Laramie itself.

Problem was, the roads were worse inside the city than on the Interstate. 

“These drivers got stranded in drifts all over Grand Avenue,” the trooper said.  

The exasperated trooper said it took more than four hours to clean up the mess created by the Californian. Plus, numerous snow plows — instead of plowing roads — were sidelined during the ordeal.

“If we can keep the plows moving, we stand a better chance of keeping up with the storm,” he said. “Once you gridlock us, we’re done.”

Sadly, the Californian was not arrested but was ticketed and had to pay the cost for the tow back to Laramie.

“When you get those tow bills as a result of these bad decisions, that’s quite a punishment in itself,” the trooper said.

Hopefully there’s a comma in that tow bill.

 

 

mini-cooper-in-snow-2.jpg

Edited by clapclapclap
Rainish
Posted
1 hour ago, boknowstecmo said:

SEC is going to get fucked up  by tornadoes today. Not a good situation for them. 

4 tornadoes at the moment in MS & AL, and we're just in the early stages.  The highest tornado risk category has been issued for today:

day1otlk_1630.gif

And it will continue overnight, with the second highest risk category issued for tomorrow:

day2otlk_1730.gif

Posted
1 hour ago, clapclapclap said:

https://cowboystatedaily.com/2021/03/15/californian-driving-mini-cooper-causes-four-hour-delay-numerous-wrecks-on-i-80/

Californian Driving Mini Cooper (in a 3-foot deep snow storm) Causes Four-Hour Delay (to plows) & Numerous Wrecks On I-80 (WY)

  Hide contents

A Californian driving a Mini Cooper through Sunday’s blizzard caused some major problems in Laramie area when he ventured out on Interstate 80.

A Wyoming State Trooper called Wyoming air personality Glenn Woods’ radio program Monday morning to discuss the impact of the Californian who mistakenly went out on the Interstate to see if the roads were fit for a Mini Cooper.

They weren’t, of course, and the Californian got stuck on the Interstate.

At least two snowplow drivers who were trying to avoid the Mini Cooper got in an accident which halted cleanup activity in the area.

Subsequently all of the snowplows were then stuck on I-80 until the wreckage could be moved from the road which severely impacted all cleanup efforts for miles.

“Because of this one individual, our entire fleet of plow trucks were landlocked,” the trooper said. “This cost thousands of dollars to the truckers and really hampered snow removal efforts.”

But it didn’t stop there. Because this portion of the Interstate was closed, drivers tried to divert away from the closure by going through Laramie itself.

Problem was, the roads were worse inside the city than on the Interstate. 

“These drivers got stranded in drifts all over Grand Avenue,” the trooper said.  

The exasperated trooper said it took more than four hours to clean up the mess created by the Californian. Plus, numerous snow plows — instead of plowing roads — were sidelined during the ordeal.

“If we can keep the plows moving, we stand a better chance of keeping up with the storm,” he said. “Once you gridlock us, we’re done.”

Sadly, the Californian was not arrested but was ticketed and had to pay the cost for the tow back to Laramie.

“When you get those tow bills as a result of these bad decisions, that’s quite a punishment in itself,” the trooper said.

Hopefully there’s a comma in that tow bill.

 

 

mini-cooper-in-snow-2.jpg

Why didn’t they just plow him off the road?  “ oh sorry didnt see you there,” 

  • Hook 'Em 2
  • Fuck Around and Find Out 1
Posted (edited)

Heyyyyyy ohhh.  I haven’t washed my car in weeks and left it outside instead the garage. So definitely not going to rain in central Austin tonight. 

Edited by LABEVO
Posted
Looks like the worst cell is staying north of Georgetown.
Pea and dime size reported out by Fredericksburg but they're saying on KXAN that it's not enough to worry about coming into Austin.
Posted

Line of rough storms going through, TORNADO WARNING in that north storm going across WillCo.  WIll go N of Georgetown an dmore towards Walburg.  Definite rotation in it but should miss the metro area.

Other storms tot he south are potent, seem to be more in a line so that will preclude rotation.  Watch for brief somewhat large hail between now and midnight.

Otherwise, should be routine for most of us.  Brief rain, lotsa wind.  This will probably stay on past the news 1/2 hour so you can probably tune in.

Posted

Yeah, some damage in Bertram and up around that storm, a tornado definitely touched down there.  That storm is halfway across Willco now.

Storms heading for Austin are potent but not severe right now.

Posted

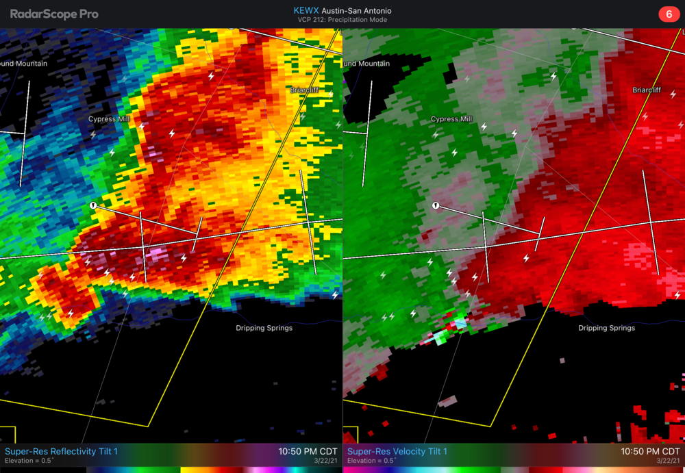
Yeah, a hook on a storm moving slightly S of due east, gonna skim Henly and then probably go thru Dripping.  No tornadic confirmation at this time.  Probably mid-level weak rotation and seems like it's getting weaker.

Join the conversation

You can post now and register later. If you have an account, sign in now to post with your account.

Guest
Reply to this topic...

×   Pasted as rich text.   Paste as plain text instead

  Only 75 emoji are allowed.

×   Your link has been automatically embedded.   Display as a link instead

×   Your previous content has been restored.   Clear editor

×   You cannot paste images directly. Upload or insert images from URL.



×
×
  • Create New...